Mech-Eye SDK 2.5.2更新说明
本文介绍Mech-Eye SDK 2.5.2版本的新增功能、功能优化以及问题修复。
Mech-Eye Viewer
提供暖机工具
Mech-Eye Viewer 2.5.2新增暖机工具,在采集数据前您可使用此工具对设备进行暖机,以确保数据精度。
NANO ULTRA和Welding:反光物体编码模式新增选项
其中,更快选项与上一版本效果和速度相同,更完整选项能够提供更优的深度数据,使得深度图和点云更完整。对于反光条件复杂的场景,如筐壁易产生多重反射的料筐,推荐使用更完整选项,以保障数据质量。
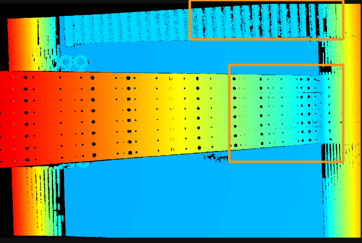
PRO S和PRO M彩色相机:提升数据质量
在PRO S和PRO M彩色相机中使用编码模式参数的快速、精确和反光物体选项时,采集的数据质量提升。其他条件相同,仅编码模式不同的点云对比如下:
| 2.5.0 | 2.5.2 | |
|---|---|---|
精确 |
|
|
反光物体 |
|
|
支持连续保存数据
保存数据功能全面升级。采集一次数据后,您可选择手动保存,将采集的数据保存至本地。连续保存数据时,可选择自动保存,由软件自动保存每次采集的数据。
支持设置点云ROI
在点云显示界面中点击
,可进入点云ROI界面。您可设置点云ROI,以便观察特定区域的点云。
Mech-Eye API
NANO ULTRA和Welding:Reflective编码模式新增选项
使用ProjectorFringeCodingMode(编码模式)参数的Reflective选项时,新增ProcessingMode(处理模式)参数,用于选择不同的数据处理模式。
其中,Faster选项与上一版本效果和速度相同;MoreComplete选项能够提供更优的深度数据,使得深度图和点云更完整。对于反光条件复杂的场景,如筐壁易产生多重反射的料筐,推荐使用MoreComplete选项,以保障数据质量。
NANO ULTRA和Welding:Reflective编码模式下支持空缺填充
使用ProjectorFringeCodingMode(编码模式)参数的Reflective选项时,新增EnableGapFilling(启用空缺填充)参数和GapSize(空缺大小)参数,用于填充点云中的空缺,使物体表面特征更完整。详见参数说明。
| 目标物体 | 未进行空缺填充 | 空缺填充后 |
|---|---|---|
|
|
|
PRO S和PRO M彩色相机:提升数据质量
在PRO S和PRO M彩色相机中使用ProjectorFringeCodingMode(编码模式)参数的快速、精确和反光物体选项时,采集的数据质量提升。其他条件相同,仅编码模式不同的点云对比如下:
| 2.5.0 | 2.5.2 | |
|---|---|---|
精确 |
|
|
反光物体 |
|
|
GenICam接口
NANO ULTRA和Welding:Reflective编码模式新增选项
使用ProjectorFringeCodingMode(编码模式)参数的Reflective选项时,新增ProcessingMode(处理模式)参数,用于选择不同的数据处理模式。
其中,Faster选项与上一版本效果和速度相同;MoreComplete选项能够提供更优的深度数据,使得深度图和点云更完整。对于反光条件复杂的场景,如筐壁易产生多重反射的料筐,推荐使用MoreComplete选项,以保障数据质量。
NANO ULTRA和Welding:Reflective编码模式下支持空缺填充
使用ProjectorFringeCodingMode(编码模式)参数的Reflective选项时,新增EnableGapFilling(启用空缺填充)参数和GapSize(空缺大小)参数,用于填充点云中的空缺,使物体表面特征更完整。详见参数说明。
| 目标物体 | 未进行空缺填充 | 空缺填充后 |
|---|---|---|
|
|
|
PRO S和PRO M彩色相机:提升数据质量
在PRO S和PRO M彩色相机中使用ProjectorFringeCodingMode(编码模式)参数的快速、精确和反光物体选项时,采集的数据质量提升。其他条件相同,仅编码模式不同的点云对比如下:
| 2.5.0 | 2.5.2 | |
|---|---|---|
精确 |
|
|
反光物体 |
|
|








